2025-08-01 11:05
已查看63次
YY/T0681.9标准规定了软包装被置于约束板内进行内部加压来检验其周边密封处最小胀破强度的方法。
本试验仅适用于周边密封的软包装(通常指组合袋)。尤其适用于其密封具有可剥离特征(由最终使用者剥开后取出内装物)的包装。
本部分规定的胀破试验是使包装内部逐渐加压直到包装周边的一个密封区域因压力增加而“胀”开。加压过程中将包装置于约束板内,以维持包装空间不变,这样
可以使所施加的压力更均匀的沿包装的周边分布(通常在周边处密封)。从而可使试验更可能发现密封的最薄弱区域,并测量出包装“胀”开所需的压力。
意义和应用
1.本试验为评价包装受到压差作用时的密封破坏的趋势提供了快捷的评价方法。压差可能产生于灭菌过程中和运输过程中。本试验方法用以测量包装密封区域的
胀破强度(即胀破常发生在密封的一个或几个区域的胀破)。密封区的最小胀破强度值可能对包装制造商和最终用户确保适宜的包装完整性非常重要。本试验方法
不能对包装密封的均匀性提供测量。本试验方法不能用于对整个包装完整性进行评价,即不能评价包装与约束板接触部位的胀破强度。如果有必要,本试验方法宜
与其他整个包装完整性、包装密封的均匀性或打开性能的评价方法结合起来使用。
2.在制造过程中和在包装寿命周期的各个阶段,本试验经常用于对包装的密封强度进行快速评价。
3.若要建立试验设备组件之间的相关性,使试验方法的所有参数严格保持一致是非常重要的。典型的参数有,但不限于:包装的大小、材料、密封的型式和结构、
气流进入包装的速度、压力检测传感装置及灵敏度(对压降的机械响应)和试验品的位置,约束板的刚性,以及约束板间距。
4.本试验与使用 YY/T0681.3、YYIT 0681.2所述的测量包装密封强度试验方法不一定具有相关性(或等同性)。
普创科技LT-03A泄漏与密封强度测试仪完全符合YY/T 0681.9无菌包装约束板内部气压法软包装密封胀破试验方法,采用正压法测试原理,通过向软包装
内部逐渐加压,直至包装周边密封区域胀破,与标准要求的试验原理相符。并且该仪器可调节加压速率、约束板间距等参数,能满足标准中根据包装材料特性
和结构特点设置试验参数的要求。同时,仪器还具备高精度传感器,可准确捕捉包装胀破瞬间的压力变化,符合标准中对测量装置的要求。


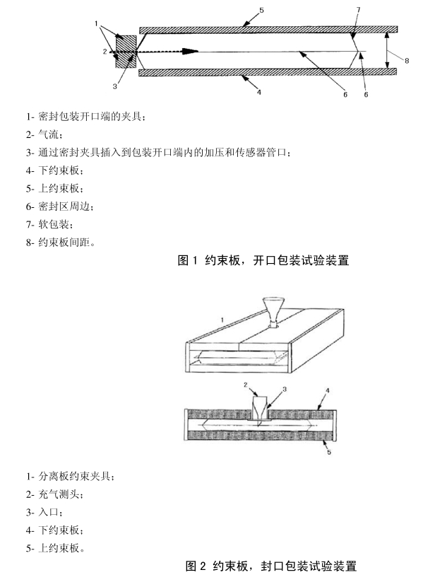
开口包装测试:使用开口包装试验装置对一端开口(未封口)的软包装进行试验。用一个充气管口和压力传感装置插入包装的开口端对包装加压,
然后用一个夹紧机构在试验期间将开口端密封(见图1)。
封口包装测试:使用封口后包装试验装置对四个边密封的包装进行试验。用一个充气管口和压力传感装置与包装上的打孔连接,对包装内部进行气
体加压(见图2)。

查看更多 >
查看更多 >
查看更多 >
查看更多 >
查看更多 >
查看更多 >
联系我们